Burlón (@sguduloso) 's Twitter Profile
Burlón

@sguduloso

Mené mené tekel parsín.

ID: 234166882

calendar_today05-01-2011 00:27:00

6,6K Tweet

243 Takipçi

57 Takip Edilen

Weather Watcher (@wxwatcher07) 's Twitter Profile Photo

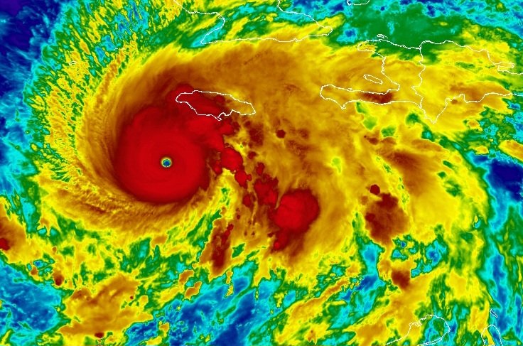
The sun has risen over Category 5 Hurricane Melissa, lurking just south of Jamaica. The next 48 hours across the island will be catastrophic.

The sun has risen over Category 5 Hurricane Melissa, lurking just south of Jamaica. 

The next 48 hours across the island will be catastrophic.
Huracán Info (@huracaninfoco) 's Twitter Profile Photo

🚨Huracán Melissa 🚨 ⚠️Vientos aumentan 175 mph⚠️ Lamentablemente el huracán Melissa ha continuado fortaleciéndose y ahora tiene vientos máximos sostenidos de 175 mph (280 km/h) y una presión barométrica mínima de 906 mb Es el huracán en récord más intenso en términos de

🚨Huracán Melissa 🚨

⚠️Vientos aumentan 175 mph⚠️

Lamentablemente el huracán Melissa ha continuado fortaleciéndose y ahora tiene vientos máximos sostenidos de 175 mph (280 km/h) y una presión barométrica mínima de 906 mb

Es el huracán en récord más intenso en términos de
CiclonesRD (@ciclonesrd) 's Twitter Profile Photo

🚨🌀 Inicia la cuenta regresiva antes el inminente impacto del poderoso #huracánMelissa en #Jamaica que ya se mueve hacia el oeste noroeste a 6 km/h. Vientos catastrófico máximos sostenidos de 280 km/h y ráfagas más intensas sustenta a este categoría 5. Entra a la isla de noche.

Huracán Info (@huracaninfoco) 's Twitter Profile Photo

🎬NUEVO VIDEO🎬 Huracán #Melissa con Vientos de 175 mph (Categoría 5). Se acerca a Jamaica 🇯🇲 y luego a Cuba 🇨🇺. El huracán #Melissa ha continuado fortaleciéndose durante el día de hoy y ya tiene vientos máximos sostenidos de 175 mph. Se pronostica que entrará sobre Jamaica

CiclonesRD (@ciclonesrd) 's Twitter Profile Photo

#Huracan #Melissa a la vuelta de la esquina para superar incluso a huracanes históricos como Katrina en presión central mínima. Un pase del Cazahuracanes encuentra una presión mínima 902.8 mb en su ojo, osea, este monstruo se intensifica aún más que antes. #Hurricane #jamaica

#Huracan #Melissa a la vuelta de la esquina para superar incluso a huracanes históricos como Katrina en presión central mínima. Un pase del Cazahuracanes encuentra una presión mínima 902.8 mb en su ojo, osea, este monstruo se intensifica aún más que antes. 

#Hurricane #jamaica
Burlón (@sguduloso) 's Twitter Profile Photo

#Melissa se ha convertido en un monstruo, desafortunadamente arrasará con miles de hectáreas de bosques y vida silvestre. Oramos por ustedes hermanos en #Jamaica.

Burlón (@sguduloso) 's Twitter Profile Photo

#Melissa ahora con presión barométrica de 900mb. Impactos de huracanes catastróficos abajo de 900mb fueron Gilberto y Wilma, en Cancún en 1998 y 2005 respectivamente. Ambos desbarataron a Cancún.

Ada Monzón (@adamonzon) 's Twitter Profile Photo

8:45 am [CAPTIONS SPANISH/ENGLISH] 🌀El poderoso huracán #Melissa avanza un poco (7 mph) al noreste hacia la costa suroeste de Jamaica donde el ojo debe tocar tierra cerca del mediodía de hoy, y luego cerca de 4:00 a 6:00 de la tarde estar saliendo cerca de Montego Bay. Luego,

Huracán Info (@huracaninfoco) 's Twitter Profile Photo

🚨EVENTO HISTÓRICO🚨 ⚠️HURACÁN MELISSA⚠️ El avión cazahuracanes acaba de registrar una presión barométrica cerca de 893 mb, de ser confirmado el huracán #Melissa será el cuarto huracán más intenso en récord en el Atlántico y sólo superado por: Wilma, 2005: 882 mb Gilbert, 1988:

🚨EVENTO HISTÓRICO🚨
⚠️HURACÁN MELISSA⚠️

El avión cazahuracanes acaba de registrar una presión barométrica cerca de 893 mb, de ser confirmado el huracán #Melissa será el cuarto huracán más intenso en récord en el Atlántico y sólo superado por:

Wilma, 2005: 882 mb
Gilbert, 1988:
Weather Watcher (@wxwatcher07) 's Twitter Profile Photo

FROM THE NATIONAL HURRICANE CENTER: “THIS IS AN EXTREMELY DANGEROUS AND LIFE-THREATENING SITUATION! TAKE COVER NOW! Failure to adequately shelter may result in serious injury, and loss of life. Residents in Jamaica that experience the eye should not leave their shelter as winds

FROM THE NATIONAL HURRICANE CENTER: 

“THIS IS AN EXTREMELY DANGEROUS AND LIFE-THREATENING SITUATION! TAKE COVER NOW! Failure to adequately shelter may result in serious injury, and loss of life. Residents in Jamaica that experience the eye should not leave their shelter as winds
Huracán Info (@huracaninfoco) 's Twitter Profile Photo

⚠️MELISSA AHORA CON VIENTOS DE 185 MPH⚠️ Increíble, el avión vuelve a entrar sobre el centro y ha encontrado vientos de 185 mph, por lo cual continúa fortaleciéndose minutos antes de entrar sobre #Jamaica 🇯🇲 #Montego #Kingston #Jamaica

⚠️MELISSA AHORA CON VIENTOS DE 185 MPH⚠️

Increíble, el avión vuelve a entrar sobre el centro y ha encontrado vientos de 185 mph, por lo cual continúa fortaleciéndose minutos antes de entrar sobre #Jamaica 🇯🇲

#Montego #Kingston #Jamaica
MyRadar Weather (@myradarwx) 's Twitter Profile Photo

We are moments away from major Category 5 Melissa making a historic landfall in Jamaica. Maximum sustained winds are currently at 185 mph.

SkyAlert Storm (@skyalertstorm) 's Twitter Profile Photo

Impresionante el sonido de los poderosos vientos del huracán #Melissa. Se prevé que deje gran devastación a su paso, en Jamaica, por vientos de 295 km/h y ráfagas que superan 350 km/h.

Huracán Info (@huracaninfoco) 's Twitter Profile Photo

🎬NUEVO VIDEO🎬 Huracán Melissa sale de Jamaica 🇯🇲 y se dirige hacia Cuba 🇨🇺 como categoría 4. El huracán #Melissa ha devastado a Jamaica. El centro está saliendo de Jamaica y se dirige hacia el oriente de Cuba 🇨🇺. Se pronostica que llegará a Santiago de Cuba en horas de la

Burlón (@sguduloso) 's Twitter Profile Photo

Frente frío No. 11 llegando a la Península de #Yucatan. Refrescante para #Cancun #PlayadelCarmen #Tulum y todo #QuintanaRoo

Mara Lezama (@maralezama) 's Twitter Profile Photo

Este viernes muy mexicano, apoyemos el consumo local y compremos lo hecho en #QuintanaRoo, que está muy bien hecho. 🇲🇽🙌🏽 👗 Hoy elegí una hermosa prenda artesanal de calado, creada por manos talentosas como las de Irma Yolanda, y lo usaré con mucho orgullo en el #JanalPixan en