Fiscalía Provincial de Matanzas (@fiscalaprovinc1) 's Twitter Profile
Fiscalía Provincial de Matanzas

@fiscalaprovinc1

Órgano del Estado encargado de controlar y preservar la legalidad, ejercer la acción penal pública y proteger los derechos y garantías de los ciudadanos.

ID: 1193930784769486848

calendar_today11-11-2019 16:37:47

3,3K Tweet

2,2K Takipçi

2,2K Takip Edilen

Fiscalía de Cuba (@fgr_cuba) 's Twitter Profile Photo

➡️ El bloqueo económico, comercial y financiero impuesto por el gobierno de EE.UU. contra #Cuba constituye una política unilateral, coercitiva y extraterritorial que viola el Derecho Internacional y los propósitos y principios de la Carta de la ONU. #TumbaElBloqueo

➡️ El bloqueo económico, comercial y financiero impuesto por el gobierno de EE.UU. contra #Cuba constituye una política unilateral, coercitiva y extraterritorial que viola el Derecho Internacional y los propósitos y principios de la Carta de la ONU. 

#TumbaElBloqueo
Fiscalía de Cuba (@fgr_cuba) 's Twitter Profile Photo

➡️ El bloqueo de Estados Unidos a #Cuba consiste en un conjunto de medidas de coacción y agresión económicas que entrañan una conducta genocida, orientadas a provocar asfixia e inmovilidad, por lo que supone un freno para el desarrollo socioeconómico cubano. #TumbaElBloqueo

➡️ El bloqueo de Estados Unidos a #Cuba consiste en un conjunto de medidas de coacción y agresión económicas que entrañan una conducta genocida, orientadas a provocar asfixia e inmovilidad, por lo que supone un freno para el desarrollo socioeconómico cubano.

#TumbaElBloqueo
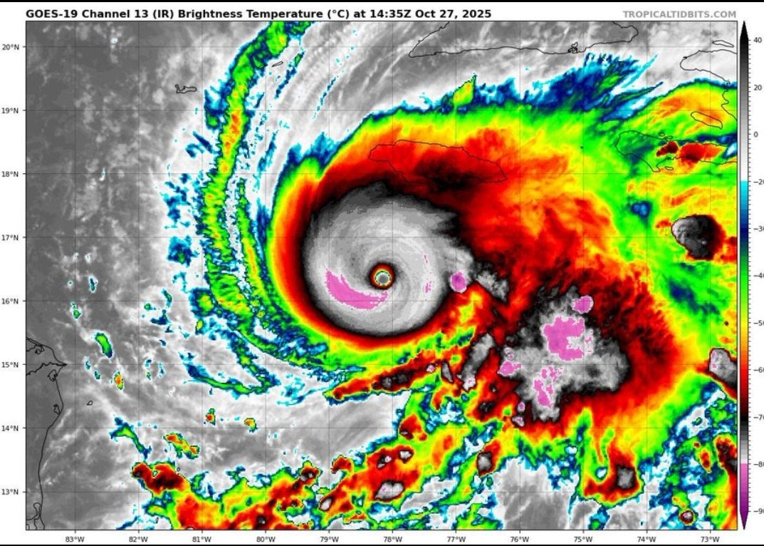
Defendiendo Cuba (@defendiendocuba) 's Twitter Profile Photo

#Melissa es un Huracán de gran intensidad 👇 ‼️Manténgase informados‼️ #PreparadosYAlertas, para enfrentar la fuerza de este peligroso evento meteorológico. #DefendiendoCuba🇨🇺💪❤️

#Melissa es un Huracán de gran intensidad 👇

‼️Manténgase informados‼️ #PreparadosYAlertas, para enfrentar la fuerza de este peligroso evento meteorológico. 

#DefendiendoCuba🇨🇺💪❤️
Fiscalía Provincial de Matanzas (@fiscalaprovinc1) 's Twitter Profile Photo

Camilo Cienfuegos Gorriarán, “El Héroe de Yaguajay”, fue un revolucionario cabal, hombre del pueblo y artífice de esta Revolución a la cual dio su aporte hasta el instante en que se produjo su desaparición física el 28 de octubre de 1959 Daisy Ramírez Naranjo Yamila Peña Ojeda

Camilo Cienfuegos Gorriarán, “El Héroe de Yaguajay”, fue un revolucionario cabal, hombre del pueblo y artífice de esta Revolución a la cual dio su aporte hasta el instante en que se produjo su desaparición física el 28 de octubre de 1959 <a href="/DaisyRamirez66/">Daisy Ramírez Naranjo</a> <a href="/yamilapenao/">Yamila Peña Ojeda</a>
Fiscalía Provincial de Matanzas (@fiscalaprovinc1) 's Twitter Profile Photo

Muchas delegaciones de diferentes regiones del mundo, del Caribe, de África, los grupos de concertación, reconocieron que #Cuba es un país que lo que ofrece es solidaridad y que no merece sufrir el injusto bloqueo que se le ha impuesto por más de 60 años. #TumbaElBloqueo

Muchas delegaciones de diferentes regiones del mundo, del Caribe, de África, los grupos de concertación, reconocieron que #Cuba es un país que lo que ofrece es solidaridad y que no merece sufrir el injusto bloqueo que se le ha impuesto por más de 60 años.
#TumbaElBloqueo
Fiscalía Provincial de Matanzas (@fiscalaprovinc1) 's Twitter Profile Photo

El Presidente del Consejo de Defensa Nacional, Miguel Díaz-Canel Bermúdez, reconoció a los combatientes de las FAR y el Minint que protagonizaron cientos de operaciones de rescate en el Oriente #CubaPorLaVida Daisy Ramírez Naranjo Yamila Peña Ojeda

El Presidente del Consejo de Defensa Nacional, <a href="/DiazCanelB/">Miguel Díaz-Canel Bermúdez</a>, reconoció a los combatientes de las FAR y el Minint que protagonizaron cientos de operaciones de rescate en el Oriente #CubaPorLaVida <a href="/DaisyRamirez66/">Daisy Ramírez Naranjo</a> <a href="/yamilapenao/">Yamila Peña Ojeda</a>
Fiscalía de Cuba (@fgr_cuba) 's Twitter Profile Photo

⚖️ | Un amplio entramado de derechos quedó consagrado en el Código de la Niñez, Adolescencias y Juventudes, aprobado por la Asamblea Nacional del Poder Popular, tras un amplio y enriquecedor proceso de consultas. 🧵 1/4

⚖️ | Un amplio entramado de derechos quedó consagrado en el Código de la Niñez, Adolescencias y Juventudes, aprobado por la Asamblea Nacional del Poder Popular, tras un amplio y enriquecedor proceso de consultas. 

🧵 1/4
Fiscalía de Cuba (@fgr_cuba) 's Twitter Profile Photo

🇨🇺 | Hacemos Cuba: Protección a las personas en nuestro país: un principio de la Revolución. 🔴 | Vea esta nueva emisión de manera íntegra en el siguiente enlace ⬇️ youtu.be/ekSOGDXxN7k?si… #Cuba #FiscalíaCubana

Fiscalía Provincial de Matanzas (@fiscalaprovinc1) 's Twitter Profile Photo

Culminan satisfactoriamente sus prácticas preprofesionales los estudiantes de primer año del Técnico Medio en Derecho. #FiscalíaMatancera

Culminan satisfactoriamente sus prácticas preprofesionales los estudiantes de primer año del Técnico Medio en Derecho. #FiscalíaMatancera
Fiscalía de Cuba (@fgr_cuba) 's Twitter Profile Photo

🗣️ | Miguel Díaz-Canel Bermúdez «A todos les reiteramos que nadie quedará abandonado a su suerte. La Revolución está viva y mientras ella viva, sus hijos estarán a salvo». 🔗 | cubadebate.cu/noticias/2025/… #Cuba 🇨🇺

🗣️ | <a href="/DiazCanelB/">Miguel Díaz-Canel Bermúdez</a> «A todos les reiteramos que nadie quedará abandonado a su suerte. La Revolución está viva y mientras ella viva, sus hijos estarán a salvo».

🔗 | cubadebate.cu/noticias/2025/…

#Cuba 🇨🇺
Fiscalía Provincial de Matanzas (@fiscalaprovinc1) 's Twitter Profile Photo

La Sala de los Delitos contra la Seguridad del Estado del Tribunal Supremo Popular informa que fue señalado el acto de juicio oral de la causa en la que aparece como acusado Alejandro Miguel Gil Fernández para mañana 11 de noviembre de 2025, a las 9.30 de la mañana

La Sala de los Delitos contra la Seguridad del Estado del Tribunal Supremo Popular informa que fue señalado el acto de juicio oral de la causa en la que aparece como acusado Alejandro Miguel Gil Fernández para mañana 11 de noviembre de 2025, a las 9.30 de la mañana
Fiscalía de Cuba (@fgr_cuba) 's Twitter Profile Photo

Total apego a las normas en el proceso penal en curso (+ Video) Es facultad del Tribunal determinar que el juicio sea público o a puertas cerradas granma.cu/cuba/2025-11-1…

Fiscalía de Cuba (@fgr_cuba) 's Twitter Profile Photo

🗣️ | Dr.C. Arnel Medina, profesor titular y consultante de Derecho Penal de la Universidad_Habana. 🗣️ | Tomando como referencia el Derecho Comparado, ¿cuáles son las características del delito de espionaje y cuál es su incidencia en la Seguridad Nacional de los Estados?

Fiscalía Provincial de Matanzas (@fiscalaprovinc1) 's Twitter Profile Photo

Actualmente se realiza en Cuba un proceso penal que incluye, como uno de los acusados, a Alejandro Gil Fernández, quien se desempeñó como vice primer ministro y ministro de Economía y Planificación. Entre los delitos que se le imputan está el de espionaje. granma.cu/cuba/2025-11-1…

Fiscalía de Cuba (@fgr_cuba) 's Twitter Profile Photo

🇨🇺 | Convocan al XI Pleno del Comité Central del Partido Comunista de Cuba 📌 | Sesionará los días 12 y 13 de diciembre, y analizará importantes asuntos de la vida socioeconómica y política de la nación granma.cu/cuba/2025-11-1… #XIPlenoCC

🇨🇺 | Convocan al XI Pleno del Comité Central del <a href="/PartidoPCC/">Partido Comunista de Cuba</a>

📌 | Sesionará los días 12 y 13 de diciembre, y analizará importantes asuntos de la vida socioeconómica y política de la nación

granma.cu/cuba/2025-11-1…

#XIPlenoCC
Fiscalía Provincial de Matanzas (@fiscalaprovinc1) 's Twitter Profile Photo

Siempre comprometidos con la formación de los estudiantes, participa la #FiscaliaMatancera en el Día de la Carrera de Derecho en la Universidad de #Matanzas

Siempre comprometidos con la formación de los estudiantes, participa la #FiscaliaMatancera en el Día de la Carrera de Derecho en la Universidad de #Matanzas