wxKobold (@wxkobold) 's Twitter Profile
wxKobold

@wxkobold

Not degreed, just hobbyist.

I like to study storm behavior and torgen. Lightning addict.

Live west of STL. Aerospace guy.

bsky handle @misocycl.one

ID: 1370883180115464193

calendar_today13-03-2021 23:43:20

6,6K Tweet

1,1K Takipçi

491 Takip Edilen

wxKobold (@wxkobold) 's Twitter Profile Photo

Probably the highest temporal resolution loop you'll see of the Cole, OK tornado of 2023/04/19 using only WSR-88D sweeps (In this case, spliced between KTLX and FOP1)! This loop programmatically finds all sweeps under 3800ft (at center frame) across both radars and plots them

wxKobold (@wxkobold) 's Twitter Profile Photo

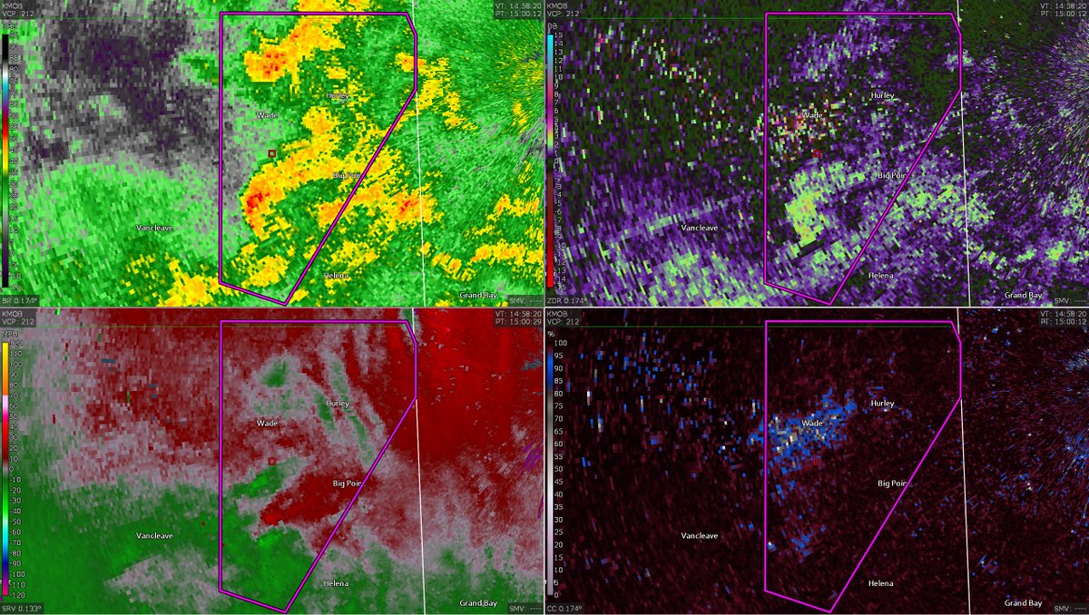
Goofy thing right next to KMOB a few minutes ago. Not sure if it actually tornadoed but a quite interesting looking mesocyclone

Goofy thing right next to KMOB a few minutes ago. Not sure if it actually tornadoed but a quite interesting looking mesocyclone
wxKobold (@wxkobold) 's Twitter Profile Photo

Exceptional pair of supecells here, one offshore producing what is probably a fairly intense tornadic waterspout, as the northern supercell finishes up producing a tornado with quite a strong but tiny couplet (the northern one was producing a debris signature as well)

Exceptional pair of supecells here, one offshore producing what is probably a fairly intense tornadic waterspout, as the northern supercell finishes up producing a tornado with quite a strong but tiny couplet (the northern one was producing a debris signature as well)
wxKobold (@wxkobold) 's Twitter Profile Photo

Quite the look to the southeast of Mobile, AL. Large number of seemingly robust supercells all drifting northward towards the coast. Some of the more developed ones may pose a tornado threat in the near-mid term as they come ashore.

Quite the look to the southeast of Mobile, AL.  Large number of seemingly robust supercells all drifting northward towards the coast.  Some of the more developed ones may pose a tornado threat in the near-mid term as they come ashore.
wxKobold (@wxkobold) 's Twitter Profile Photo

Tried a more complicated SMV loop with my python script, this time with more dramatic shifts in the motion vector. Need to add dealiasing still but I like how smooth it came out! This is utilizing 0.5 and 0.9 tilts where available.

wxKobold (@wxkobold) 's Twitter Profile Photo

Here's what an actual moon halo looks like, for reference (if you've seen the terrible AI post I shall not provide engagement for by QRT'ing)

Here's what an actual moon halo looks like, for reference (if you've seen the terrible AI post I shall not provide engagement for by QRT'ing)
wxKobold (@wxkobold) 's Twitter Profile Photo

As always, watching for lightning showing up in radar scans today! Today seems to have a lot of really long, horizontal noodly bolts. Very neat to see!

As always, watching for lightning showing up in radar scans today! 

Today seems to have a lot of really long, horizontal noodly bolts. Very neat to see!
Johnson_Wx (@225mph_ef4) 's Twitter Profile Photo

no one is talking about this, so i’m going to say it. a large percentage of storm chasers do not have sex. combine that with half of them dropping new racist posts on Twitter, rage baiting grown adults , and ED, and you’re going to have a really bad time.

wxKobold (@wxkobold) 's Twitter Profile Photo

Storm-following, multi-radar, multi-tilt loop of the Norman, OK tornado event of 2023/02/26. Gives an excellent view of the storm as it surges and bookends out directly over the radars. This loop splices together KTLX and DOP1 data from tilt 0.5 and 0.9 to get a fairly decent

wxKobold (@wxkobold) 's Twitter Profile Photo

Found a very cool lightning bolt that got scanned by KSRX on 2024/06/04, but seems that GLM somehow didn't catch it. Tried finding it on OKLMA but the data isn't all that great right there for whatever reason.

Found a very cool lightning bolt that got scanned by KSRX on 2024/06/04, but seems that GLM somehow didn't catch it. Tried finding it on OKLMA but the data isn't all that great right there for whatever reason.
wxKobold (@wxkobold) 's Twitter Profile Photo

For an even stupider loop, here's a slightly different timeframe but with 4 radars included! KTLX, DOP1, TOKC, and the Advanced Technology Demonstrator (NSSL S-Band Phased Array Radar). It's so silly but I'm glad it actually worked

wxKobold (@wxkobold) 's Twitter Profile Photo

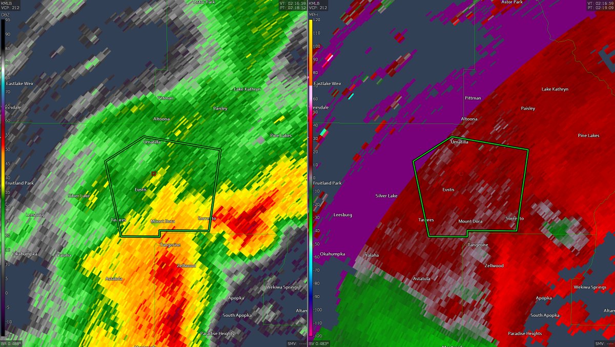
Absolutely excessive amounts of rainfall have fallen in areas in Florida, seemingly, prompting a Flash Flood Emergency in areas near Eustis, FL.

Absolutely excessive amounts of rainfall have fallen in areas in Florida, seemingly, prompting a Flash Flood Emergency in areas near Eustis, FL.
wxKobold (@wxkobold) 's Twitter Profile Photo

Big yikes. Strong tornadic supercell threatening Mexico Beach, FL right now. Looks like it's gearing up for another cycle