Dakota Smith (@weatherdak) 's Twitter Profile
Dakota Smith

@weatherdak

Atmospheric Scientist, Science Communicator & Creator丨Now on bluesky: weatherdak.bsky.social | Streaming on twitch.tv/weatherdak

ID: 49457868

linkhttps://bsky.app/profile/weatherdak.bsky.social calendar_today21-06-2009 22:57:40

33,33K Tweet

39,39K Takipçi

1,1K Takip Edilen

CIRA (@cira_csu) 's Twitter Profile Photo

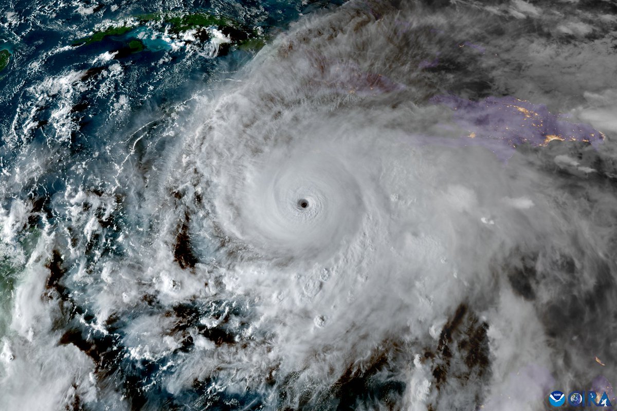
A look at the devastating power loss across Jamaica following the historic crossing of Hurricane Melissa, captured by NOAA-21.