Joshua Murdock (@murdockphotoswx) 's Twitter Profile
Joshua Murdock

@murdockphotoswx

Father || Nikon Photographer || NWS Advance Skywarn Weather Spotter || Die-Hard Marshall, Bengals, & Reds Fan || Weather Nut || Space Geek (Opinions are my own)

ID: 38996277

linkhttps://facebook.com/joshuamurdockphotography calendar_today10-05-2009 04:32:00

20,20K Tweet

2,2K Followers

4,4K Following

National Hurricane Center (@nhc_atlantic) 's Twitter Profile Photo

Hurricane #Melissa Advisory 23: Melissa Likely to Cause Life-Threatening and Catastrophic Flash Flooding and Landslides in Portions of Jamaica and Southern Hispaniola. Hurricane Conditions Expected to Begin By Late Tomorrow In Jamaica. hurricanes.gov

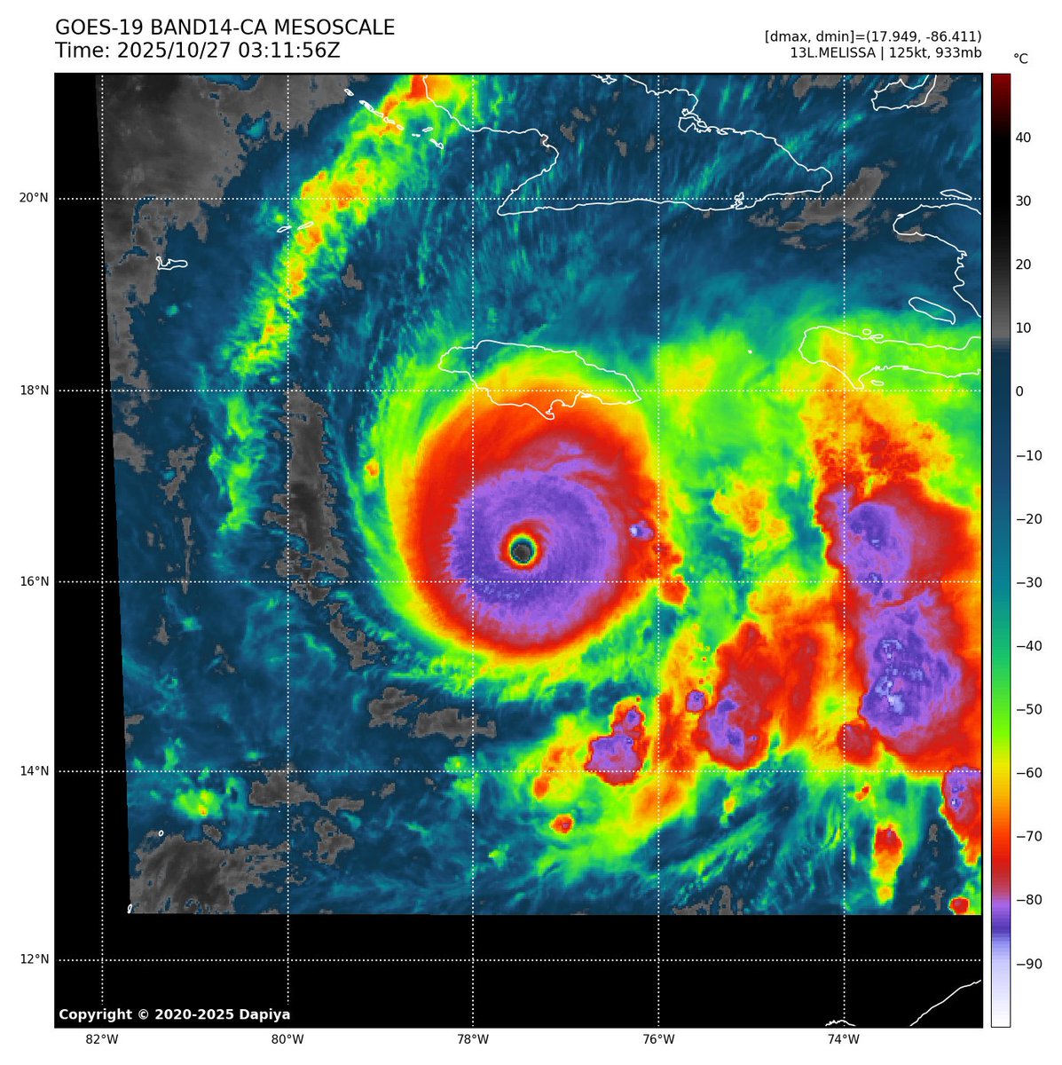
Joshua Murdock (@murdockphotoswx) 's Twitter Profile Photo

My goodness. Hurricane #Melissa is unbelievable 🤯 Look at those cold cloud tops!!! And a little south-westerly wobble with the eye as well!

My goodness. Hurricane #Melissa is unbelievable 🤯  Look at those cold cloud tops!!! And a little south-westerly wobble with the eye as well!
StormHQ ☈ (@stormhqwx) 's Twitter Profile Photo

#Melissa has really ramped up over the last hour. We now have a deep CDG ring around the center with much cooler cloud tops, the eye is warmer, & seems its no longer unstable as it was a few hours ago. Also the southwest wobble has stopped and is now wobbling WNW. It seems rapid

#Melissa has really ramped up over the last hour. We now have a deep CDG ring around the center with much cooler cloud tops, the eye is warmer, & seems its no longer unstable as it was a few hours ago.

Also the southwest wobble has stopped and is now wobbling WNW. It seems rapid
Michael Ferragamo (@ferragamowx) 's Twitter Profile Photo

UNBELIEVABLE. ADT estimates put #MELISSA at T8.3 — one of the highest ever observed in the Atlantic. Satellite presentations don’t get much better than this in the Atlantic. We’re witnessing history on satellite right now. MELISSA likely nearing/at Category 5 status.

Dylan Federico (@dylanfedericowx) 's Twitter Profile Photo

Oh my goodness. Is #Melissa about to start another round of intensification? Cloud tops have cooled significantly over the past hour. It looks like the eye is contracting a bit too.

ThunderWild Weather (@thunderwildwx) 's Twitter Profile Photo

Meteorological madness is on full display as monstrous CAT5 Hurricane #Melissa with maximum sustained winds screaming at 175 MPH & a crushing central pressure of 909 millibars is now making its final, devastating push toward #Jamaica.

The Associated Press (@ap) 's Twitter Profile Photo

Amazon will cut about 14,000 corporate jobs as the online retail giant ramps up spending on artificial intelligence. apnews.com/article/amazon…

Nick Krasznavolgyi (@nickkrasz_wx) 's Twitter Profile Photo

HURRICANE MELISSA just broke its own record AGAIN! -2.76° C, unreal. Absolutely smashed the previous record of -5.00° C in Typhoon Meranti 2016.

HURRICANE MELISSA just broke its own record AGAIN! -2.76° C, unreal. Absolutely smashed the previous record of -5.00° C in Typhoon Meranti 2016.
Ella Dorsey (@ella__dorsey) 's Twitter Profile Photo

A short but scary video of the flooding in Santa Cruz, Jamaica, in the mountains inland from where Melissa is making landfall. Population is over 10,000.

Edward.Vijayakumar (@edwanx) 's Twitter Profile Photo

Wow! Significant dimming visible across almost the entire disk, a clear signature of a powerful CME. This eruption is truly massive. #SpaceWeather

Edward.Vijayakumar (@edwanx) 's Twitter Profile Photo

The X5.1 flare produced a spectacular, fast full-halo CME with a highly dense core. With two preceding CMEs already en route, this event could further intensify geomagnetic activity, potentially driving it to G4 levels. #SpaceWeather

Halo CME (@halocme) 's Twitter Profile Photo

Another eruption from AR12474, associated with an X5.1 flare. It has become a full halo CME. I am truly impressed by how fast and global this coronal wave is. The CME will arrive on November 13, but because of earlier CMEs it will be challenging to isolate the ICME from this.

Dr. Tamitha Skov (@tamithaskov) 's Twitter Profile Photo

The expected #solarstorm has hit and it is a WHOPPER! We may be in for the largest storm since the G5 back in May 2024. I go into the details of what is to come in my latest live stream. For those who missed it, here is the direct link: youtube.com/live/RMSpOSTrc… You can also read

The expected #solarstorm has hit and it is a WHOPPER! We may be in for the largest storm since the G5 back in May 2024. I go into the details of what is to come in my latest live stream. For those who missed it, here is the direct link: youtube.com/live/RMSpOSTrc…  You can also read