Hsuan-Pu Chen (@chp_shampooh) 's Twitter Profile
Hsuan-Pu Chen

@chp_shampooh

Darwin wasp researcher from Taiwan
Anime and Karaoke enthusiast / Zutomayo fan / Post in JP or EN
台湾のヒメバチ学者、日本語勉強中/アニメとカラオケが大好き/ずとまろ。

ID: 1572976797934682112

linkhttps://sites.google.com/view/hsuanpu-chen calendar_today22-09-2022 15:51:18

608 Tweet

202 Followers

336 Following

昆虫館Bar Species (@insect_bar) 's Twitter Profile Photo

標本の作り方は、虫の種類や作者によって様々ですが、同じ種類でも目的によって変えることがあります。店主がこれまでに作成したカマキリの標本は、4つの型に分類できることが判明しました。 本格的なカマキリの標本作成に挑戦したい! という皆様、参考にしてみてください。 #昆虫館バー #標本

標本の作り方は、虫の種類や作者によって様々ですが、同じ種類でも目的によって変えることがあります。店主がこれまでに作成したカマキリの標本は、4つの型に分類できることが判明しました。

本格的なカマキリの標本作成に挑戦したい!
という皆様、参考にしてみてください。

#昆虫館バー #標本
ミソミソ (@misomiso_zemi) 's Twitter Profile Photo

今年の成果はかなりデカかったですね 黒化型にエチゴ型にミカド型、、、 こんな奇抜な?レアカラーがいるからセミは本当に面白い!

今年の成果はかなりデカかったですね
黒化型にエチゴ型にミカド型、、、
こんな奇抜な?レアカラーがいるからセミは本当に面白い!
Zootaxa updates (@zootaxa) 's Twitter Profile Photo

Type material of #sawfly species of Arge Schrank, 1802 (#Hymenoptera, #Argidae) deposited in museums of #Russia #taxonomy doi.org/10.11646/zoota…

Type material of #sawfly species of Arge Schrank, 1802 (#Hymenoptera, #Argidae) deposited in museums of #Russia
#taxonomy
doi.org/10.11646/zoota…
AntRoom 島田拓 (@antroom_taku) 's Twitter Profile Photo

短時間だけ使えるハエのすご技。 頭を体液で膨らませて、その圧力で土などを押しのけて地上に脱出します。 これは額嚢(がくのう)と言う器官で、羽化直後の体が柔らかい時間だけ膨らみます。

Hsuan-Pu Chen (@chp_shampooh) 's Twitter Profile Photo

日本で初めで映画を見ました!日本語字幕があって助かりました 次回のカラオケでは「IRIS OUT」を歌いたいなぁ。今のうちに練習しておきます! (レゼちゃんかわいい…🥹)

日本で初めで映画を見ました!日本語字幕があって助かりました
次回のカラオケでは「IRIS OUT」を歌いたいなぁ。今のうちに練習しておきます!
(レゼちゃんかわいい…🥹)
劇場版『ゾンビランドサガ ゆめぎんがパラダイス』 (@zombielandsaga) 's Twitter Profile Photo

┏━━━━━━━━━┓   #ゾンビランドサガ   公開まであと10日 ┗━━━━━━━━━┛ 巽 幸太郎役 #宮野真守 さんから特別メッセージが到着🎵 劇場版『ゾンビランドサガ ゆめぎんがパラダイス』 10/24(金) 全国公開🎬 宮野真守公式

三郎丸蒸留所【公式】 (@saburomarud) 's Twitter Profile Photo

\ スモハイシリーズ  初の限定商品! / 『三郎丸蒸留所のスモーキーハイボール』から、シリーズ初の限定商品が登場。 スパニッシュオーク樽で追熟された原酒を使用した特別な一本です。 樽由来の濃厚さと三郎丸の特徴であるスモーキーさが一体となった味わいをお楽しみください。

\ スモハイシリーズ  初の限定商品! /

『三郎丸蒸留所のスモーキーハイボール』から、シリーズ初の限定商品が登場。
スパニッシュオーク樽で追熟された原酒を使用した特別な一本です。
樽由来の濃厚さと三郎丸の特徴であるスモーキーさが一体となった味わいをお楽しみください。
Takema Fukatsu (@fkttkm) 's Twitter Profile Photo

私たちのノコギリカメムシ後脚防衛真菌共生に関する論文がついにScience誌に公開されました。長年にわたり多くの研究者がバトンを繋ぎながら解明し、磨き上げてきた自然史の発見をこのような形で公表することができ、感慨深いものがあります。 science.org/doi/10.1126/sc… #共生 #昆虫 #カメムシ

Hsuan-Pu Chen (@chp_shampooh) 's Twitter Profile Photo

昨夜ローソンと三郎丸のコラボ限定ハイボールを飲みました!スモーキーと樽の香りが最高でした!

昨夜ローソンと三郎丸のコラボ限定ハイボールを飲みました!スモーキーと樽の香りが最高でした!
Hsuan-Pu Chen (@chp_shampooh) 's Twitter Profile Photo

ゾンビランドサガを観た! 神すぎ!!ストーリーも相変わらず面白くて、わけわからない(笑) 内容は大体理解できたけど、やっぱり字幕がないと大変だな……僕の日本語力、まだまだだ でもまた観に行きます!!

ゾンビランドサガを観た!
神すぎ!!ストーリーも相変わらず面白くて、わけわからない(笑)
内容は大体理解できたけど、やっぱり字幕がないと大変だな……僕の日本語力、まだまだだ
でもまた観に行きます!!
Hsuan-Pu Chen (@chp_shampooh) 's Twitter Profile Photo

お部屋の壁がかなり薄くて、隣の声がまる聞こえ…。最近深夜2〜3時まで話し声と笑い声が続いて、さすがにキツい。 管理会社に連絡しても「巡回した後異常は確認されませんでした」って返ってくるだけ。耳栓して寝てるけど、そろそろ遮音DIYを考えます。

ZooKeys (@zookeys_journal) 's Twitter Profile Photo

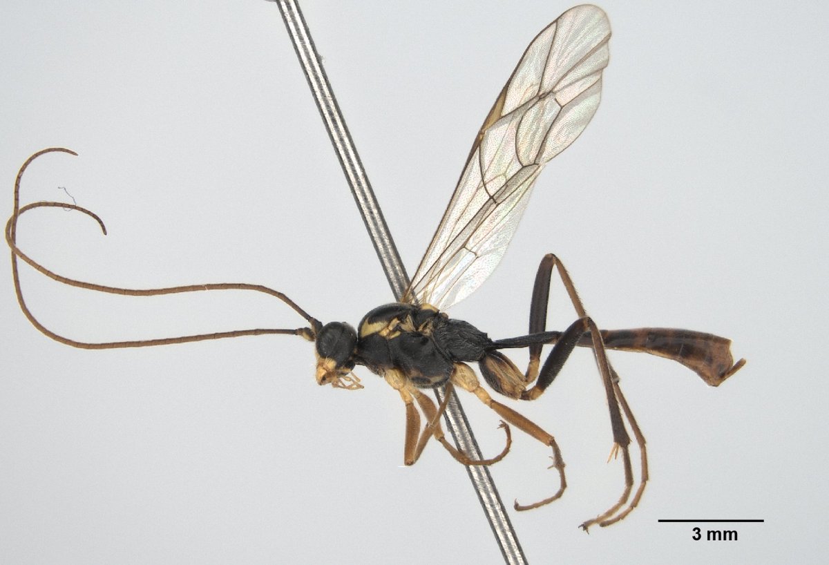
Six new species are described in the parasitic wasp genus Alexeter. Find out more about them here: doi.org/10.3897/zookey… Hsuan-Pu Chen NTU Taiwan #wasps #phylogeny #taxonomy

Six new species are described in the parasitic wasp genus Alexeter. Find out more about them here: doi.org/10.3897/zookey…

<a href="/chp_shampooh/">Hsuan-Pu Chen</a> <a href="/NTU_TW/">NTU Taiwan</a> #wasps #phylogeny #taxonomy
三郎丸蒸留所【公式】 (@saburomarud) 's Twitter Profile Photo

スパニッシュオークフィニッシュ、たくさんの反響をありがとうございます。 この冬、限定シリーズ第二弾が登場します。 ◇━━━━━━━━━━━━━━━━━◇    超スモーキーな、冬が来る。 ◇━━━━━━━━━━━━━━━━━◇

スパニッシュオークフィニッシュ、たくさんの反響をありがとうございます。

この冬、限定シリーズ第二弾が登場します。

◇━━━━━━━━━━━━━━━━━◇

   超スモーキーな、冬が来る。

◇━━━━━━━━━━━━━━━━━◇
Hsuan-Pu Chen (@chp_shampooh) 's Twitter Profile Photo

カッコイイ… Pham, N. T. ., & Cao, N. T. Q. (2025). A new genus and three new species of the subfamily Phygadeuontinae (Hymenoptera: Ichneumonidae) from northern Vietnam. European Journal of Taxonomy, 1026(1), 236-249. doi.org/10.5852/ejt.20…

カッコイイ…
Pham, N. T. ., &amp; Cao, N. T. Q. (2025). A new genus and three new species of the subfamily Phygadeuontinae (Hymenoptera: Ichneumonidae) from northern Vietnam. European Journal of Taxonomy, 1026(1), 236-249. doi.org/10.5852/ejt.20…
三郎丸蒸留所【公式】 (@saburomarud) 's Twitter Profile Photo

\  三郎丸蒸留所の Super Smoky ハイボール  / 1952年の蒸留開始以来、三郎丸蒸留所が追い続けてきたスモーキーという個性。 その一つの到達点が、 この「三郎丸蒸留所の Super Smoky ハイボール」です。 原酒には 80ppm のスーパーヘヴィリーピーテッドモルトを使用。 力強く、深く、香り立つ。

\  三郎丸蒸留所の Super Smoky ハイボール  /

1952年の蒸留開始以来、三郎丸蒸留所が追い続けてきたスモーキーという個性。

その一つの到達点が、
この「三郎丸蒸留所の Super Smoky ハイボール」です。
原酒には 80ppm のスーパーヘヴィリーピーテッドモルトを使用。

力強く、深く、香り立つ。