Ed Russo (@edrussowx) 's Twitter Profile
Ed Russo

@edrussowx

Meteorologist, Commercial Drone Pilot, Surfer, Water Safety Advocate, Math-Science Tutor, Pennsylvania Native, South Jersey Beach Boy, & Food Snob.

ID: 1257086462

calendar_today10-03-2013 13:56:13

12,12K Tweet

4,4K Takipçi

503 Takip Edilen

Tropical Cowboy of Danger (@flynonymouswx) 's Twitter Profile Photo

A thread of videos from today’s flight into Hurricane Melissa In this first one we are entering from the southeast just after sunrise and the bright arc on the far northwest eye wall is the light just beginning to make it over the top from behind us.

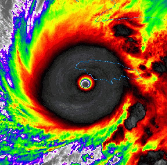
Ed Russo (@edrussowx) 's Twitter Profile Photo

A perfect example of hydrostatic and cyclostrophic balance creating an eye you couldn’t draw more perfectly... even with a compass. #Melissa #HurricaneMelissa NEXLAB

A perfect example of hydrostatic and cyclostrophic balance creating an eye you couldn’t draw more perfectly... even with a compass. #Melissa #HurricaneMelissa <a href="/CODMeteorology/">NEXLAB</a>
Ed Russo (@edrussowx) 's Twitter Profile Photo

This Halloween I'm dressing up as an accurate weatherman. No one will recognize me because I'll be right for once! It's windy.

MU Weather Center (@muweather) 's Twitter Profile Photo

I have great news! At long last and after several years, we have installed a new weather camera at Millersville University! The image is available at the following link: snowball.millersville.edu/~cws/obs-fly-m… Enjoy! Daniel J. Tomaso Ed Russo Christine Ferreira Ryan Argenti

Ed Russo (@edrussowx) 's Twitter Profile Photo

Classic Georgian Bay → Lake Huron connection feeding into Lake Erie right now. Strong unidirectional flow with height is allowing the band to move far inland from Lake Erie… even reaching State College. Impressive!

Adam Moore (@adammoorewx) 's Twitter Profile Photo

Here is the picture I captured of the northern lights this evening just outside of Lancaster, PA. They are absolutely beautiful! #northernlights #aurora #AuroraBorealis Capital Weather Gang NWS State College Howard Bernstein John Banghoff Ed Russo

Here is the picture I captured of the northern lights this evening just outside of Lancaster, PA. They are absolutely beautiful! #northernlights #aurora #AuroraBorealis <a href="/capitalweather/">Capital Weather Gang</a> <a href="/NWSStateCollege/">NWS State College</a> <a href="/hbwx/">Howard Bernstein</a> <a href="/JohnBanghoff/">John Banghoff</a> <a href="/EdRussoWX/">Ed Russo</a>
Ed Russo (@edrussowx) 's Twitter Profile Photo

Most of the lower 48 are witnessing the northern lights tonight… I honestly thought tomorrow night was going to be better. Perhaps tonight is the night as the CME appears to have arrived earlier than I thought. Goes to show that these events are not easily predictable!

Ed Russo (@edrussowx) 's Twitter Profile Photo

Aurora alert tonight! 🌌 Another spectacular Northern Lights show is possible… maybe as bright as last night’s! Look north right after sunset and through the evening, especially if you’re under the purple zone.

Aurora alert tonight! 🌌

Another spectacular Northern Lights show is possible… maybe as bright as last night’s! Look north right after sunset and through the evening, especially if you’re under the purple zone.
Ed Russo (@edrussowx) 's Twitter Profile Photo

Bz = magnetic field direction. Negative = energy connects with Earth → aurora. Positive = energy deflects → no show. Northern lights is just plain and simple, a glorified waiting game...

Bz = magnetic field direction. Negative = energy connects with Earth → aurora. Positive = energy deflects → no show. Northern lights is just plain and simple, a glorified waiting game...
Ed Russo (@edrussowx) 's Twitter Profile Photo

Bz has flipped negative. That's good. Problem is Central PA still fighting southwestern edge of clouds. If skies clear... faint aurora likely visible along northern horizon but not as vibrant as last night.

Bz has flipped negative. That's good. Problem is Central PA still fighting southwestern edge of clouds. If skies clear... faint aurora likely visible along northern horizon but not as vibrant as last night.
Ed Russo (@edrussowx) 's Twitter Profile Photo

Visited my alma mater today w/ Ryan Argenti. We work at competing stations, so we’re not allowed to talk (kidding). Kyle, MU Weather Center, on the right is a meteorologist at Millersville University who keeps us in line. Yes, we’re all close friends... except when a major storm is coming.

Visited my alma mater today w/ <a href="/ryanargenti/">Ryan Argenti</a>. We work at competing stations, so we’re not allowed to talk (kidding). Kyle, <a href="/MUweather/">MU Weather Center</a>, on the right is a meteorologist at <a href="/millersvilleu/">Millersville University</a> who keeps us in line. Yes, we’re all close friends... except when a major storm is coming.
MU Weather Center (@muweather) 's Twitter Profile Photo

What a fantastic day working with fellow Millersville University meteorology alumni Ryan Argenti and Ed Russo to educate Burrowes Elementary students in all things weather! As always, they were an attentive and inquisitive group. Read more about the experience below: sdlancaster.org/news/burrowes-…

What a fantastic day working with fellow <a href="/millersvilleu/">Millersville University</a> meteorology alumni <a href="/ryanargenti/">Ryan Argenti</a> and <a href="/EdRussoWX/">Ed Russo</a> to educate <a href="/BurrowesSDOL/">Burrowes Elementary</a> students in all things weather! As always, they were an attentive and inquisitive group. Read more about the experience below:

sdlancaster.org/news/burrowes-…
Ed Russo (@edrussowx) 's Twitter Profile Photo

Ever notice this on windy days? Go look... I guarantee your toilet bowl water is moving! This is where plumbing and meteorology overlap.

Ever notice this on windy days? Go look... I guarantee your toilet bowl water is moving! This is where plumbing and meteorology overlap.